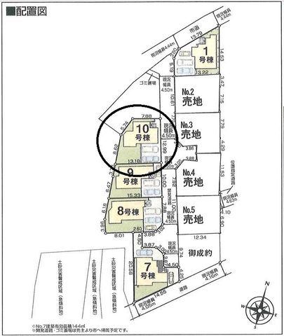
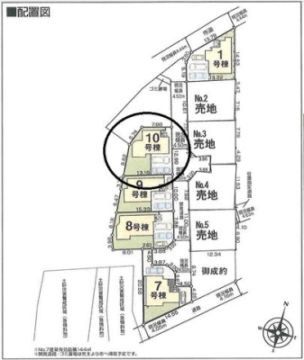
秦野市東田原 10号棟 神奈川県秦野市東田原 |2,840万円の新築一戸建て|株式会社ダイトー建設不動産
| 価格 | 2,840万円 ![]() |
||||
|---|---|---|---|---|---|
| 所在地 | 神奈川県秦野市東田原
この地域周辺の物件を見る |
土地面積 | 147.51m² (44.62坪) | 建物面積 | 102.67u |
| 築年月 | 2025年10月築 | 間取り | 4LDK (LDK15.7/和室6/洋室7.7/洋室6/洋室6) | ||
| 交通 |
小田急小田原線 秦野 バス10分 井ノ城 停歩1分
|
||||
| 特徴 |
|
|---|---|
| セールスコメント | 南東向き、陽当たり通風良好な4LDK+WIC♪ 3面採光♪全居室6帖以上♪ 2F全居室2面採光♪ 2Fバルコニーはゆとりの広さ♪ 1F和室は、LDKと間続き♪ 全窓LOW−Eペアガラス、(防音、断熱、防犯)性能良い♪ 緑豊かな閑静な住宅地♪ カースペース並列2台♪ |
| 備考 | 南東向き、陽当たり通風良好な4LDK+WIC♪ 3面採光♪全室6帖以上♪ 広々バルコニー♪ 全窓LOW−Eペアガラス(防音、断熱、防犯)性能良い♪ カースペース並列2台♪ |
| 採光面 | 東南 | 構造/階数 | 木造/地上2階建 |
|---|---|---|---|
| 建ぺい率 | 50(%) | 容積率 | 100(%) |
| 駐車場 | 有 | 現況/引渡し | 空家/相談 |
| 土地権利 | 所有権 | 私道負担面積 | - |
| 接道状況 | 接道: 東 12.9m 公道 道路幅: 4.5m | 用途地域 |
第一種低層住居専用地域
|
| セットバック | - | 法令上の制限 | 日影制限有/高さ最高限度有/敷地面積最低限度有/景観法/22条区域/都市再生特別措置法 |
| 地目 | 宅地 | 地勢 | |
| 建築確認番号 | 都市計画 | 市街化区域 | |
| 取引態様 | 仲介 | ||
| 情報更新日 | 2026年05月22日 | 次回更新日 | 2026年06月05日 |
| 小学校区 | 秦野市立東小学校 (神奈川県秦野市) この学区の他の物件を見る |
中学校区 | 東中学校 (神奈川県秦野市) この学区の他の物件を見る |
|---|
| 価格 | 万円 | ||
|---|---|---|---|
| 年利率 | % |
||
| ボーナス払い | 返済年数 | ||
| 頭金 | 直接入力する | 万円 | |

毎月のご返済額 |
ボーナス(×年2回) |
物件価格2,840万円 |
![]() |
![]() |
秦野市東田原
2590万円〜2890万円 |
南東向き、陽当たり通風良好な4LDK+WIC♪
3面採光♪
広々バルコニー♪
全窓LOW−Eペアガラス(防音、断熱、防犯)♪
カースペース2台♪