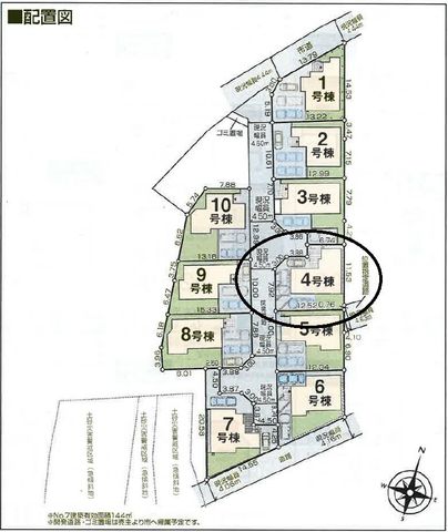
秦野市東田原 4号棟 神奈川県秦野市東田原 |2,590万円の新築一戸建て|株式会社ダイトー建設不動産
| 価格 | 2,590万円 ![]() |
||||
|---|---|---|---|---|---|
| 所在地 | 神奈川県秦野市東田原
この地域周辺の物件を見る |
土地面積 | 139.64m² (42.24坪) | 建物面積 | 101.85u |
| 築年月 | 2026年8月築 | 間取り | 4LDK (LDK16/和室6/洋室8/洋室6/洋室6) | ||
| 交通 |
小田急小田原線 秦野 バス10分 井ノ城 停歩1分
小田急小田原線 秦野 徒歩57分 |
||||
| 特徴 |
|
|---|---|
| セールスコメント | 南西南東向き、陽当たり通風良好な4LDK♪ 全居室6帖以上、2面採光♪ 全居室収納付き、季節物その他の収納に便利♪ 1F和室は、LDKと間続き♪ キッチンパントリ―、買い置きに便利♪ 全窓LOW−Eペアガラス、(防音、断熱、防犯)性能良い♪ 緑豊かな閑静な住宅地♪ カースペース2台♪ 買物施設に程近く、住環境良好♪ |
| 備考 | 日影制限有/高さの制限有/敷地面積最低限度有/宅地造成工事規制区域/景観法/建築基準22条指定/道路斜線制限/北側斜線制限/都市再生特別措置法 |
| 採光面 | 南西 | 構造/階数 | 木造/地上2階建 |
|---|---|---|---|
| 建ぺい率 | 50(%) | 容積率 | 100(%) |
| 駐車場 | 有 | 現況/引渡し | -/相談 |
| 土地権利 | 所有権 | 私道負担面積 | - |
| 接道状況 | 接道: 西 17m 公道 道路幅: 4.5m | 用途地域 |
第一種低層住居専用地域
|
| セットバック | - | 法令上の制限 | 日影制限有/高さ最高限度有/敷地面積最低限度有/宅地造成工事規制区域/景観法/建築基準22条指定/道路斜線制限/北側斜線制限 |
| 地目 | 宅地 | 地勢 | |
| 建築確認番号 | 第25UDI1W建04349号 | 都市計画 | 市街化区域 |
| 取引態様 | 仲介 | ||
| 情報更新日 | 2026年04月13日 | 次回更新日 | 2026年04月27日 |
| 小学校区 | 秦野市立東小学校 (神奈川県秦野市) この学区の他の物件を見る |
中学校区 | 東中学校 (神奈川県秦野市) この学区の他の物件を見る |
|---|
| 価格 | 万円 | ||
|---|---|---|---|
| 年利率 | % |
||
| ボーナス払い | 返済年数 | ||
| 頭金 | 直接入力する | 万円 | |

毎月のご返済額 |
ボーナス(×年2回) |
物件価格2,590万円 |
![]() |
![]() |
秦野市東田原
2590万円〜2890万円 |
南西南東向き、2面採光、陽当たり通風良好な4LDK♪
全室6帖以上収納付、LDKと続和室♪
パントリ―♪
全窓LOW−Eペアガラス(防音、断熱、防犯)♪